686 650 €

1 550 € /кв.м.

склад в София, Враждебна, бул. Ботевградско шосе

Продажба София Враждебна Обновена: 20 Апр 2026
443 м²
Сглобяема конструкция
2 /2 ет.
2026 г.

Детайли

Площ
443 м²
Етаж
2 от 2
Строителство
modular
Год. на строителство
2026 г.

Особености

video-surveillance
access-control

Описание от продавача

КЛИЕНТИТЕ НА MARTIN'S СА ПО-ДОВОЛНИ! ПОПИТАЙ ЗАЩО!

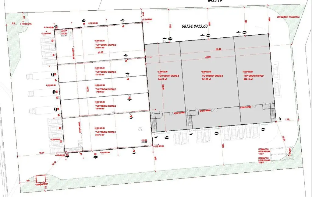
ТОП БИЗНЕС ИМОТ - складове (халета) в близост до новоразвития XOpаrк на 'Ботевградско шосе', срещу новата база на Силвър Стар и централен офис на Мега Електроникс;

Останали свободни само два склада (халета), които се продават заедно или поотделно:

* Склад 1 - със застроена площ от 365.84кв.м. и разгъната застроена площ от 442.48кв.м., състоящ се от:

ниво 1 - 284кв.м., офис - 59.08кв.м., хидрофорно помещение - 4кв.м.; ниво 2 - работно помещение - 40.20кв.м., санитерно помещение - 6.30кв.м.;

4бр. паркоместа (възможност за повече на брой места за паркиране), заедно със съответните идеални части от земята.

* Склад 2 - със застроена площ от 564,7кв.м. и разгъната застроена площ от 683кв.м., състоящ се от:

ниво 1 - 442,15кв.м., офис - 98,20кв.м., хидрофорно помещение - 4,4кв.м.; ниво 2 - работно помещение - 69,86кв.м., санитерно помещение - 6.30кв.м.; 5бр. паркоместа (възможност за повече на брой места за паркиране), заедно със съответните идеални части от земята.

Парцелът е с лице от 65 м. на Околовръстен път и е разположен в район Кремиковци, кв. Челопечене, местност Аличо. Подходящ е за търговско представителство със собствена складова база, производствена дейност, цехове за преработка, логистичен парк за товаро-разтоварна дейност и много други.

Предимства на имота:

* отличава се, като единствена база в района с мощност на ел.захранването - 150KW за всяко хале;

* собствен водоизточник

* възможност за монтаж на фотоволтаична система на покрива

* получавате готов имот с готовност за започване веднага на вашата дейност;

* най-добрата локация, с лице на Околовръстен път;

* срещу новата база на Силвър Стар и централен офис на Мега Електроникс;

* бърза връзка с главните артерии на всички части на София;

* отлична инвестиция за складова или производствена дейност;

Разрешение за строеж от 13.03.2026год. на складова сграда с офиси и паркинг;

Краен срок на завършване - м.07.2026год., Разрешение за ползване - м.11.2026год.

Оферта 13728

За повече информация, тел.: 0883 97 79 79, или ни посетете на: www.martins.bg.

Точен адрес

Връзка с продавача