107 000 €

61 € /кв.м.

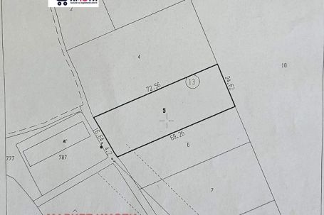
парцел в 1749 кв Стара Загора, Железник - център, м-Заешка поляна

Продажба Стара Загора Железник - център Обновена: 5 Апр 2026
1 749 м²
Извън регулация

Детайли

Площ на земята
1 749 м²
В регулация
Не

Особености

residential-build

Описание от продавача

Маркет имоти предлага за продажба поземлен имот с площ от 1749 кв.м, категория 9 нива, разположен в местност Заешка поляна , под м. Черния мост .

Имотът се намира в спокоен и живописен район, с лесен достъп и отлична панорамна гледка към околността. В непосредствена близост до парцела има трафопост (само на 5 метра), което го прави подходящ за бъдещи инвестиционни намерения или развитие.

Теренът е равен и удобен за обработка или други дейности, като предлага възможност за разнообразно приложение според нуждите на новия собственик.

Атрактивна локация, съчетаваща тишина, природа и удобен достъп.

За повече информация и огледи, свържете се с нас!

Приблизителна локация
Връзка с продавача